避難訓練のお知らせ

2022年09月18日

いつもすこやかセンターをご利用頂きまして誠にありがとうございます。

秋の避難訓練のお知らせをいたします。

当日はサイレンが鳴り物々しい雰囲気となりますが、

何卒、皆様のご理解とご協力をよろしくお願い申し上げます。

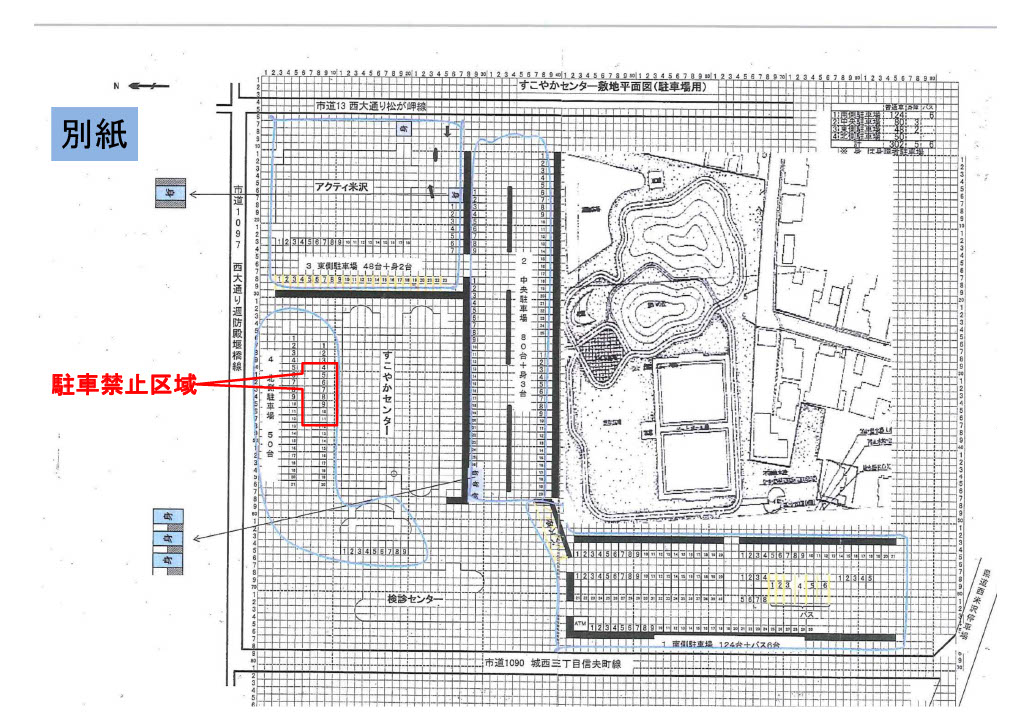
尚、駐車禁止区域もございますので、ご確認頂きますようお願いいたします。

783ee42feb644346a1f71d177b95a20d-0001

鬧占サ顔ヲ∵ュ「蛹コ蝓溷峙髱「1024_1

Copyright(c) 2014 米沢市すこやかセンター All Rights Reserved. 指定管理者 東北警備保障株式会社