403 Forbidden

Request forbidden by administrative rules.

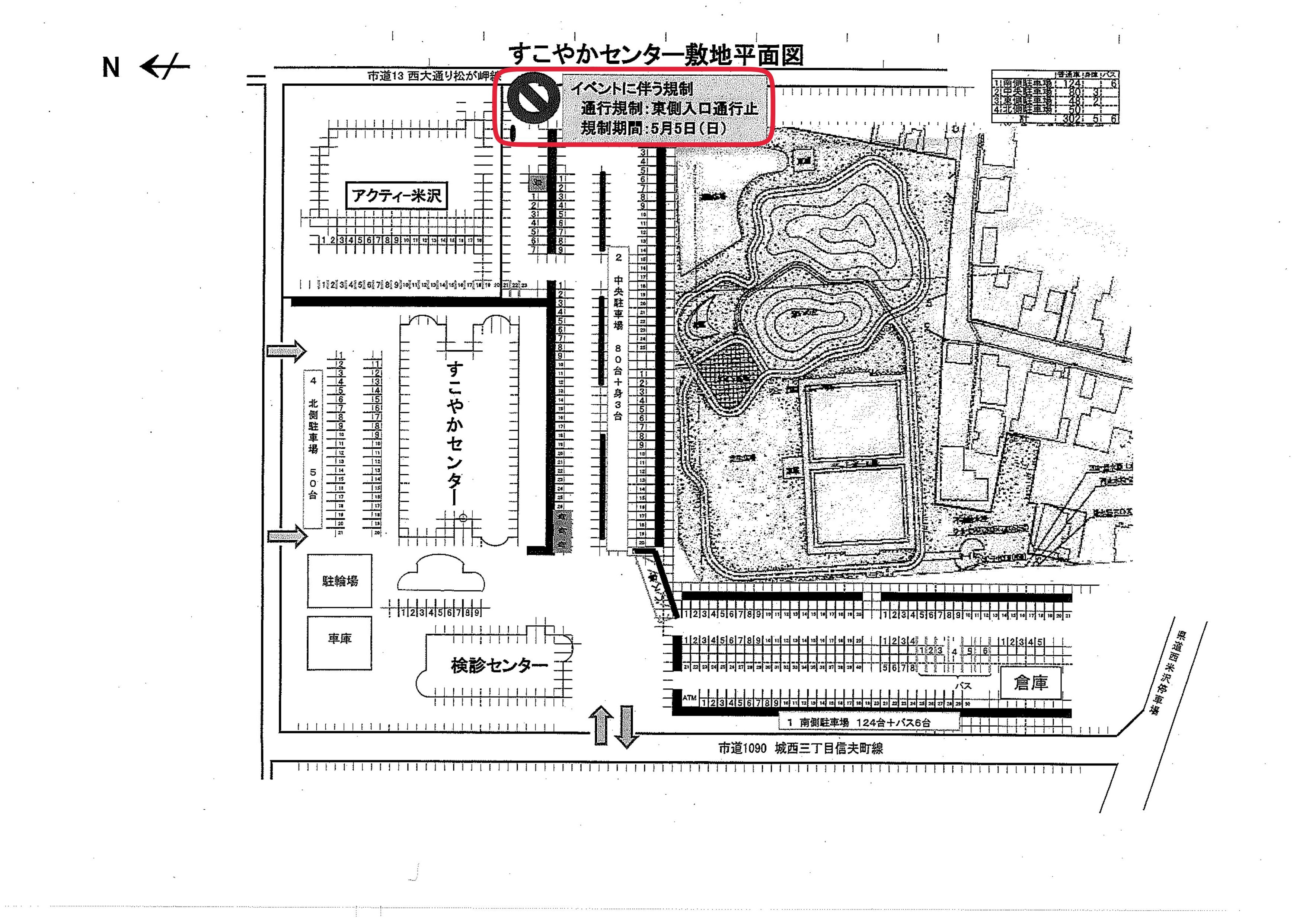
くてもイベントに伴う駐車場通行規制のお知らせ

2024年05月02日

5月5日(日)くても「こどもの日」イベントの実施による

通行規制(東側入り口通行止)がございます。

ご確認いただきますようお願いいたします。

皆様のご理解とご協力をよろしくお願いいたします。

5月5日(日)イベントに伴う駐車場規制

 

 

4月10日号決定稿-画像-1

 

 

Copyright(c) 2014 米沢市すこやかセンター All Rights Reserved. 指定管理者 東北警備保障株式会社